-

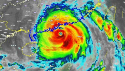
深圳已进入桦加沙10级风圈
据广州市气象台今早7时30分发布的消息,受台风影响,过去1小时,广州市出现分散阵雨,356个站点(6...
抹茶交易所 2025-09-24 19
-

“拼车”“拼单”“拼婚”?年轻人进入“拼时代”了吗
夜幕降临,天津南开区的写字楼灯光渐次亮起。95后上班族小张熟练地打开手机,在某小程序上发起订单,20...
抹茶交易平台app 2025-09-17 19
-

4架歼-20伴飞,运-20飞机已进入我国领空!
12日上午,赴韩接运第十二批在韩中国人民志愿军烈士遗骸回国的运-20飞机进入我国领空后,首次采用“五...
抹茶交易所 2025-09-12 23
-

半年亏超18亿!广汽全面进入“战时状态”
广汽直面过往对市场的误判,全面筹划反攻。 近日,正值转型关键阶段的广汽集团发布2025年上半年业绩预...
抹茶交易所 2025-07-18 41
